
Cuba.- El huracán Melissa azotó Cuba la madrugada del miércoles, horas después de causar devastación en la vecina Jamaica, siendo la tormenta más fuerte jamás registrada en esa nación insular caribeña.
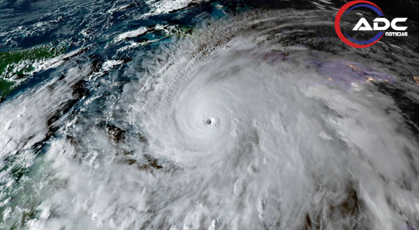
Melissa tocó tierra en la costa sur del este de Cuba con vientos máximos sostenidos de 195 km/h (120 mph), informó el Centro Nacional de Huracanes de Estados Unidos (NHC), mismo que ya provocó daños e inundaciones en casas y calles de la provincia de Santiago de Cuba, en que rompió cristales, paneles y otras estructuras.

"Esta mañana continúan las marejadas ciclónicas que amenazan la vida, las inundaciones repentinas, los deslizamientos de tierra y los vientos huracanados dañinos", informó el NHC.
Unas 735 mil personas fueron evacuadas de sus hogares en el oriente de Cuba ante la llegada de la tormenta, según informaron las autoridades. El presidente cubano, Miguel Díaz-Canel, advirtió el martes que la tormenta causaría "daños significativos" e instó a la población a acatar las órdenes de evacuación.
Melissa se había debilitado a un huracán de categoría 3, aún peligroso, después de tocar tierra cerca de la ciudad de New Hope, en el suroeste de Jamaica, el martes, con vientos sostenidos de hasta 295 km/h (185 mph), muy por encima del umbral de los 252 km/h (157 mph) para la categoría 5, el nivel más alto en la escala de huracanes Saffir-Simpson.
El centro de la tormenta, azotado por violentas ráfagas de viento de más de 200 km/h y fuertes lluvias, impactó en Guama, una zona rural y montañosa situada a 40 km al oeste de Santiago de Cuba, la segunda ciudad más poblada de la isla.
Las autoridades habían cortado el suministro eléctrico a prácticamente todo el este de Cuba, evacuado las zonas vulnerables y pedido a los residentes que se refugiaran en Santiago, la capital provincial, una ciudad de 400 mil habitantes.
Los escasos vídeos publicados por los medios locales mostraban torrentes de agua de lluvia marrón que corrían por las carreteras de pueblos oscuros al pie de la Sierra Maestra de Cuba, no lejos de la ciudad.

Las autoridades informaron de inundaciones generalizadas en las zonas bajas la madrugada del miércoles, desde Santiago hasta Guantánamo, donde se había evacuado a más del 35% de la población.
El momento no podría ser peor para la isla caribeña gobernada por el Partido Comunista. Cuba ya sufre escasez de alimentos, combustible, electricidad y medicinas, lo que ha complicado la vida de muchos y ha provocado una migración sin precedentes fuera de la isla desde 2021.
Díaz-Canel dijo que, no obstante, Cuba había movilizado a 2 mil 500 trabajadores de líneas eléctricas para comenzar la recuperación inmediatamente después del paso de la tormenta por la isla el miércoles por la tarde. No se esperaba que el huracán afectara directamente a la capital, La Habana.